Takaisin kohdelistaukseen

Kierretie 26b as 2, Vapaala, Vantaa

117 000 € •

Tuula Piiroinen tuula@strand.fi +358 40 680 7716 Strand Properties Brand Partner,
Kiinteistönvälittäjä LKV
Tuula Piiroinen LKV Oy | 3463551-4

Haluatko lisätietoja?

Ota yhteyttä, tai jätä yhteystietosi.

Jätä yhteydenottopyyntö

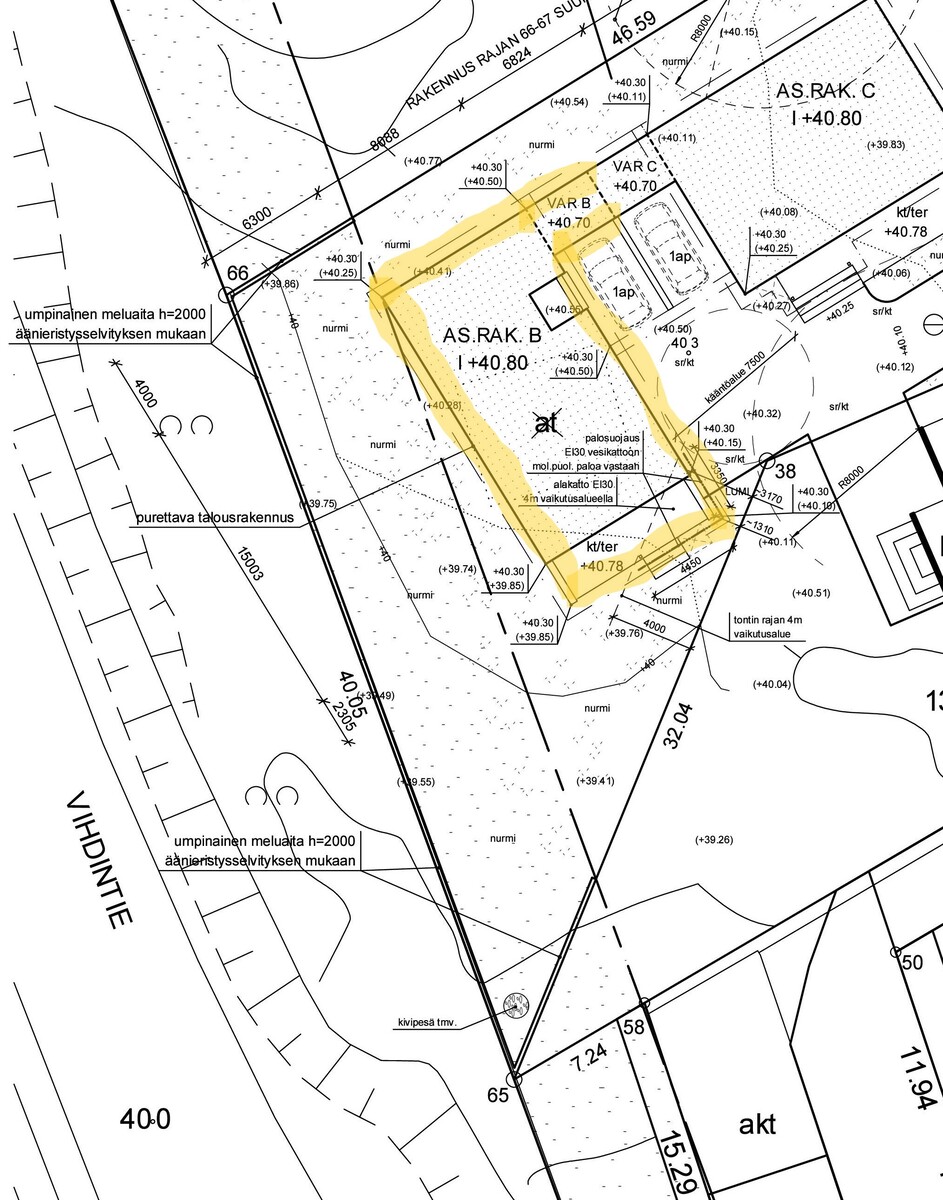
Valmiit suunnitelmat 1-tasoiselle talolle

Matala kynnys rakennusprojektille, kun suunnitelmat ja rakennuslupa ostajalle jo osittain valmiina.

Koko tontille on voimassa oleva rakennuslupa 1 paritalolle. Paritalo jaetaan erillisellä katoksella ääni ja ulkonäköteknisistä syistä. Tontilla oleva "toinen autokatoksella kytkettävä" talo on jo valmis. Kyseessä oleva B-talo on rakennusluvan mukaan 4h+k huoneistoalaltaan 95 m².
Myytävä määräosa 612 m², jaetaan 1200 m² tontista (26B) hallinnanjakosopimuksella molempien käyttöön, sekä autotielle perustetaan rasite.

Valmiiksi maksetut liittymät; kunnallistekniikka- ja sähköliittymät. Lisäksi asennettu hulevesien viivytysputkisto, joka purkaa rakennuspaikalta sadevedet ojaan.

Suunnitelmat on Jukka-talolle, mutta ostaja voi halutessaan kilpailuttaa omat suunnitelmansa talovalmistajien kanssa.

Myös vaihto As Oy -osakkeeseen (asuntoon) mahdollinen, tarjoa!

Esittelyt ja lisätiedot;
Tuula Piiroinen
Kiinteistönvälittäjä LKV
Strand Properties Brand Partner
040 680 7716 - tuula@strand.fi
Tuula Piiroinen LKV Oy | 3463551-4

Näytä kokonaan

Kohteen perustiedot

  • Kohdenumero 21525138
  • Sijainti Kierretie 26b as 2, 01650 Vantaa
  • Huoneita Ei luokiteltu
  • Tyyppi Omakotitalotontti (kiinteistö)
  • Vapautuminen heti
  • Energialuokka Ei lain edellyttämää energiatodistusta

Hinta ja kustannukset

  • Velaton hinta 117 000 €
  • Myyntihinta 117 000 €
  • Velkaosuus -
  • Vuokrattu Ei

Lisätiedot

  • Sähköliittymä siirtyy Kyllä
  • Päiväkoti Autioniityn päiväkoti, päiväkoti Leijonanmieli, Karhunpesän päiväkoti, Nikkarin päiväkoti, Vapaalan päiväkoti.
  • Koulu Rajatorpan koulu, Hämeenkylän koulu.
  • Palvelut Lidl Vapaala, Alepa Pähkinärinne, K-Supermarket Hämeenkylä sekä Alko. Varistossa ja Petikossa paljon palveluita mm. Tokmanni, kuntosali, kalustemyymälöitä.
  • Liikenneyhteydet Bussit ja juna-asema n. 2,4 km Myyrmäen asema.
  • Tie perille Kyllä

Tilat, materiaalit ja varustelu

  • Viemäri kunnan
  • Vesihuolto kunnan

Tontti

  • Koko 612 m²
  • Omistus Oma
  • Kaavoitustilanne Asemakaava
  • Kiinteistötunnus 92-13-11-30

Yrityksen tiedot

  • Yrityksen nimi Strand Properties | Tuula Piiroinen LKV Oy
  • Toimiston nimi Strand Helsinki
  • Osoite Erottajankatu 19, Helsinki